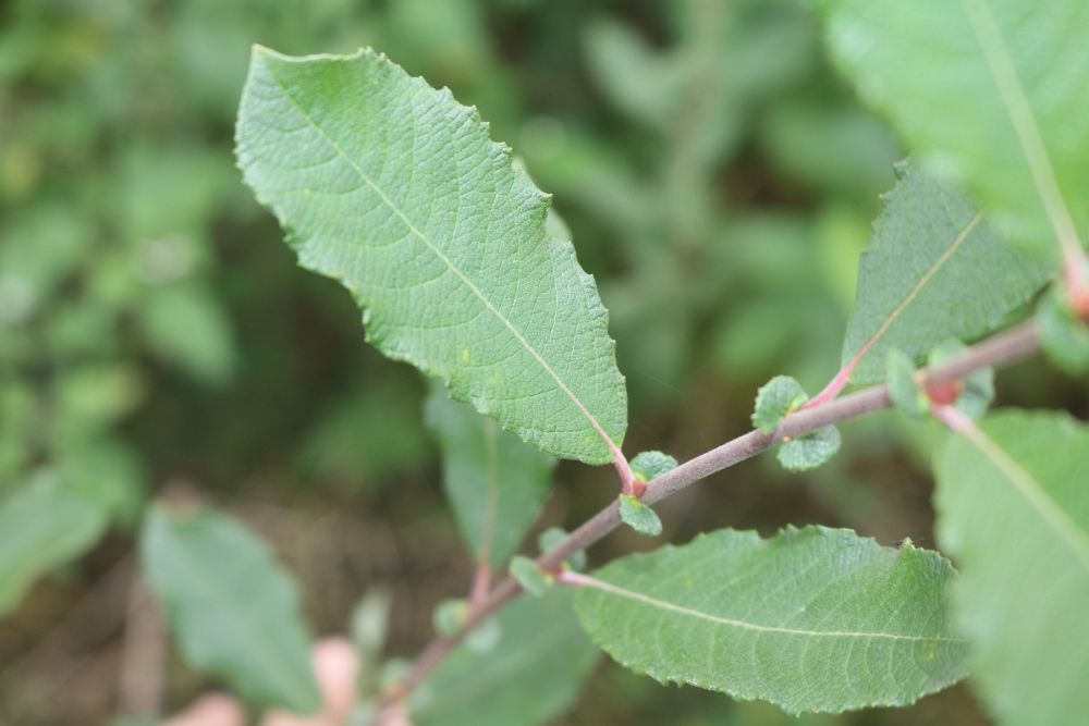
Die Öhrchenweide ist ein kleinerer feuchtigkeitsliebender Strauch, der seinen Namen von den kleinen Nebenblättren hat, die rechts und links vom Blattansatz wachsen
Vorteile: nässe- und windverträglich
Vergleich: eine der kleinsten, natürlich vorkommenden Weidenarten
Steckbrief
Baumart:
kleinerer Strauch
Verwendung:
Moorwiesen, Bachläufe, Uferbepflanzung, Erstbesiedler auf sumpfigen Böden
Verbreitung:
Europa und Westasien bis ca. 1800 m Höhe
Wuchs/Höhe:
breiter Wuchs, Höhe: 1-2 m, Breite: 2-3 m
Zuwachs:
ca. 20-30 cm pro Jahr
Laub:
laubabwerfend, Blätter: ca. 5 cm lang, 2,5, cm breit, die kleinen Nebenblätter (öhrchen) geben ihr ihren Namen
Blüten/Früchte:
März: Kätzchen unauffällig
Herbstfärbung:
gelblich unauffällig
Standort:
sonnig
Boden:
anspruchslos, nur nicht trocken
Frosthärte:
sehr frosthart
Leider sind noch keine Bewertungen vorhanden. Seien Sie der Erste, der das Produkt bewertet.
Sie müssen angemeldet sein um eine Bewertung abgeben zu können. Anmelden